【成約済】
A-1241 千里山竹園1丁目 貸倉庫事務所
- 成約物件
担当者のおすすめポイント
新御堂筋沿いの好立地!
1階は電動シャッター付きで荷物搬入もスムーズ。床は防塵塗装済みで倉庫利用に最適です。
2階はOAフロア・空調完備で快適な事務所空間を実現。トイレ・湯沸しもあり、機能的にご利用いただけます。
北大阪急行「緑地公園」駅より徒歩約9分のアクセス良好な倉庫事務所です。
- 登録日
- 2025年11月5日
- 次回更新予定日
- 2025年10月03日
成約時には仲介手数料として賃料の1ヶ月分と消費税を頂戴致します。
掲載されている物件データが現況と異なる場合は現況を優先します。
- 物件種目
- 貸倉庫事務所
- 住所
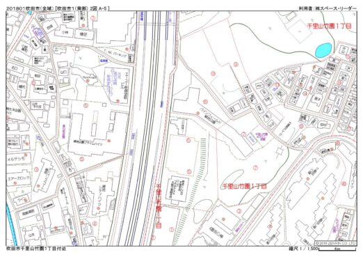
- 吹田市千里山竹園1丁目
- 最寄駅
北大阪急行「緑地公園」駅より徒歩約8分
- 賃料
- 363,000円 (税込)
- 管理費/共益費
- ー
- 保証金
- 1,980,000円 (総額)
- 解約引
- 990,000円 (別途消費税)
- 敷金
- ー
- 礼金
- ー
- 敷地面積
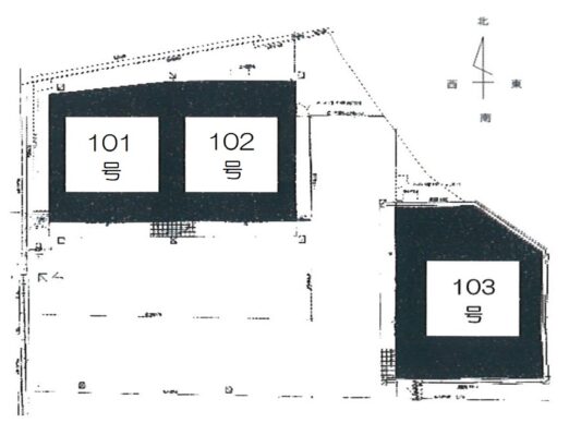
- 各階面積
- 1階 68.77 ㎡ 20.80 坪
2階 76.70 ㎡ 23.20 坪
- 延床面積
- 145.47m²(約 44坪)
- 建物構造
- 重量鉄骨造ALC板貼
- 築年月
- 2020年10月(令和2年)
- 用途地域
- 近隣商業地域
- 賃貸対象
- 連棟の一区画(101号)
- 駐車スペース
- 前面空地約3台有り(無料)
- 接道状況
- 設備
- 1階 電動シャッター、床防塵塗装、トイレ・2階 OAフロア(タイルカーペット)、空調、トイレ、湯沸し
- 入居時期
- 2025年10月上旬
- 取引態様
- 媒介
- 備考
新御堂筋沿い





